Hawaiian Hotspot (IMAGE)
Caption
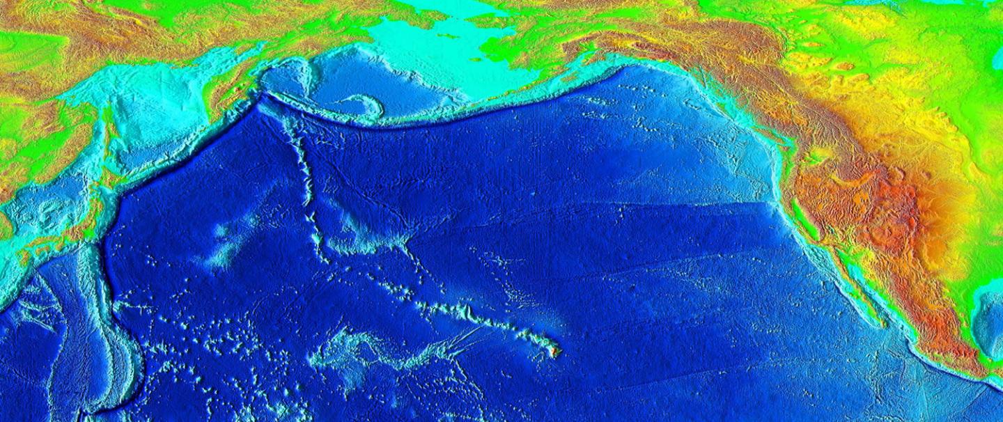
This is the movement of the Pacific plate across a mantle hotspot created the Hawaiian islands over millions of years.
Credit
National Geophysical Data Center/USGS/Wikimedia Commons
Usage Restrictions
Credit must be used.
License
Licensed content