Suomi NPP Infrared Image of Irma (IMAGE)
Caption
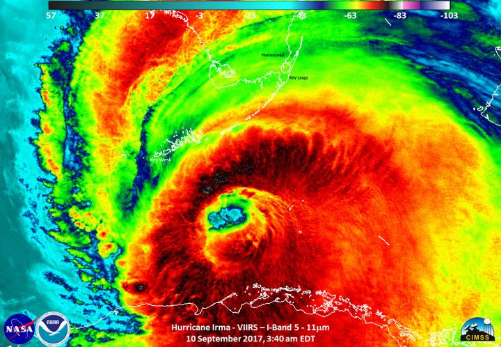
In this Suomi NPP satellite infrared image from Sept. 10, the well-defined eye of Irma is visible with strong thunderstorms around the eye. Coldest cloud tops were as cold as 190.1 Kelvin (minus 83 degrees Celsius/minus 117.4 degrees Fahrenheit).
Credit
Credits: NASA/NOAA/UWM-CIMSS, William Straka
Usage Restrictions
None
License
Licensed content